20 гектаров в Понтонном разлиновали под коттеджную застройку - «Свежие новости строительства» » Всё обо всём.
Всё обо всём. Свежие новости строительства » Новости рынка недвижимости » 20 гектаров в Понтонном разлиновали под коттеджную застройку - «Свежие новости строительства»
20 гектаров в Понтонном разлиновали под коттеджную застройку - «Свежие новости строительства»
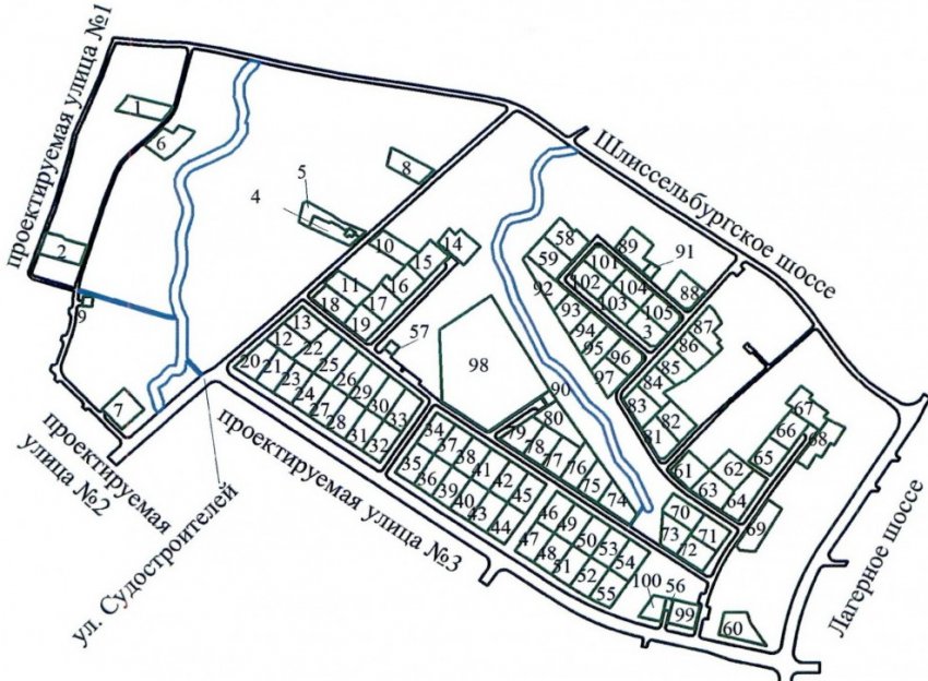
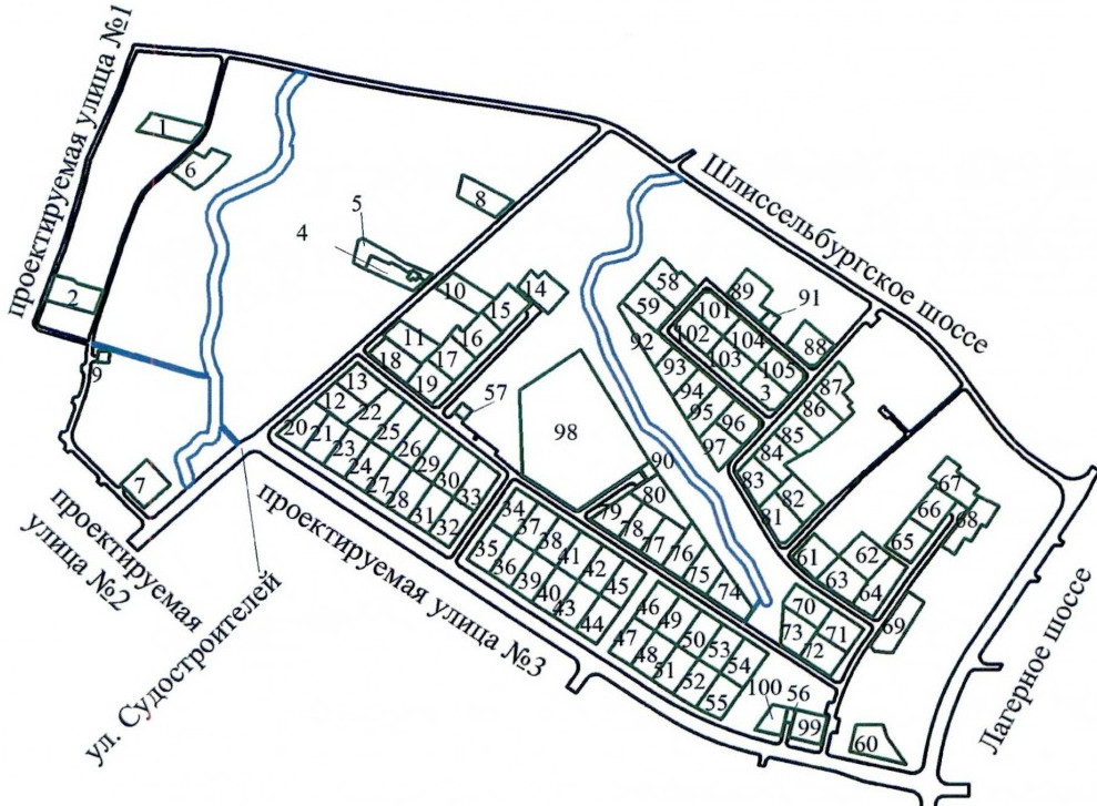
20 гектаров земли в поселке Понтонном Колпинского района нарезали на участки под коттеджную застройку. Они появятся на берегах безымянного ручья между улицей Судостроителей и Лагерным шоссе. Проект планировки разрабатывался для территории между промзоной «Понтонная», Шлиссельбургским и Лагерным

20 гектаров земли в поселке Понтонном Колпинского района нарезали на участки под коттеджную застройку. Они появятся на берегах безымянного ручья между улицей Судостроителей и Лагерным шоссе.


Проект планировки разрабатывался для территории между промзоной «Понтонная», Шлиссельбургским и Лагерным шоссе, а также пока ненаименованной Корчминской улицей. Заказчиком выступал комитет по градостроительству и архитектуре, исполнителем — Научный центр генплана.


В первую очередь документ был сделан для нарезки участков под коттеджи вдоль северной стороны Корчминской улицы. Они появятся на обоих берегах ручья. В квартале проложат несколько новых улиц, но они отнесены к внутриквартальным, а потому останутся без названий (кстати, Школьный переулок тоже отнесен к внутриквартальным, но его вряд ли упразднят). На левом берегу отводится почти 1,4 гектара под детский сад.


Проектом предполагается продление Нового переулка до улицы Судостроителей и создание дороги вдоль промзоны от Шлиссельбургского шоссе на юг с заворотом к Новому переулку.




{full-story limit="10000"}
Цитирование статьи, картинки - фото скриншот - Rambler News Service.
Иллюстрация к статье - Яндекс. Картинки.
Есть вопросы. Напишите нам.
Общие правила  поведения на сайте.
Ctrl
Enter
Заметили ошЫбку?
Выделите текст и нажмите Ctrl+Enter
Мы в
Комментарии
Минимальная длина комментария - 50 знаков. комментарии модерируются
Комментариев еще нет. Вы можете стать первым!

Смотрите также
интересные публикации
       
Новости рынка недвижимости
Технологии строительства.