Утверждена планировка кварталов микрорайона севернее Володарского - «Свежие новости строительства»
Утверждена планировка жилого микрорайона «Солнечный город», что строится между Петергофским шоссе и поселком Володарским. Setl отказался прокладывать улицы через свои владения.
«Солнечный город» расположится на бывших сельскохозяйственных полях отделения «Ленинские искры» совхоза «Предпортовый» — между Петергофским шоссе, проспектом Буденного, поселком Володарским и Сосновой Поляной.
Первую очередь Setl Group начала строить в максимальной близости от промзоны — почти на границе с Сосновой Поляной. Сейчас эту территорию с улично-дорожной сетью связывают только полевые дороги и заводской проезд. Разрешение на строительство ООО «Сэтл инвест», входящее в Setl Group, получило в сентябре.
На днях Смольный утвердил проект планировки территории «Солнечного города». Ее разработало ООО «БКН проект» по заказу ООО «Строительство и развитие», которое связано с ООО «Управляющая компания „Сателлит-девелопмент“». Эта структура сейчас распоряжается землей совхоза «Предпортовый», представляя интересы ее собственников. Еще один крупный проект, помимо жилого микрорайона возле Володарского, — промышленная зона «Портленд» между КАД и садоводческим массивом, на территории которой находится вертодром «Хелли-драйв».
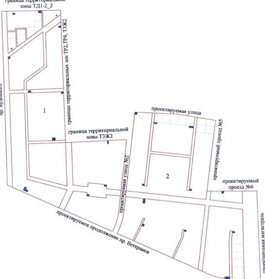
В соответствии с нынешней модой проект планировки предусмотрел минимальное количество улиц. По сути остается только продолжение проспекта Ветеранов, а также «улица № 2». Еще две дороги, которые нарисованы в том числе на иллюстрациях проекта «Солнечный город», окажутся внутриквартальными проездами.
В топонимической комиссии «Канонеру» пояснили, что названия пока рано присваивать, поскольку проект утвердил планировку небольшого куска территории. По данным КГА, сейчас разрабатываются аналогичные документы для земли между «проспектом Ветеранов» и Володарским (ООО «Строительство и развитие»), вокруг жилого комплекса «Константиновское» (ООО «Балтпродком») и под военной частью № 52321 (Петергофское шоссе, 86, корпус 5; ООО «Первая инжиниринговая компания»).


И будьте в курсе первыми!